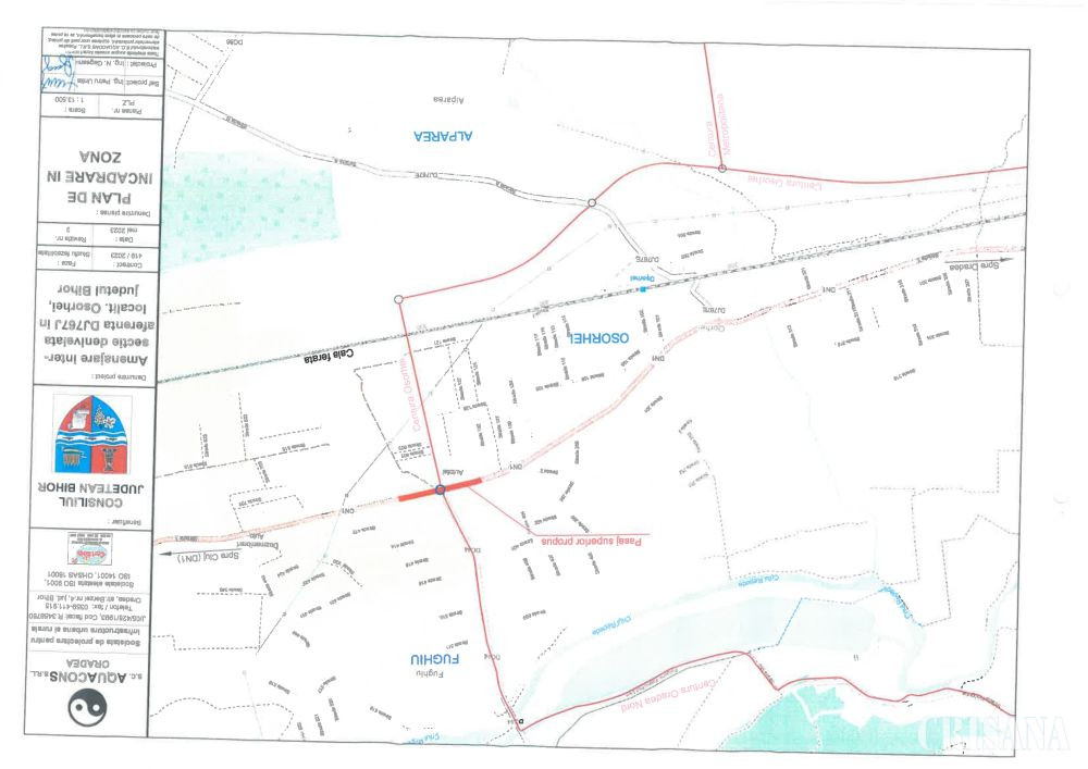
În Oşorhei, pe DN1, la ieşirea spre Cluj - Pasaj suprateran peste giraţie
Președintele Consiliului Județean Bihor, Ilie Bolojan, a anunțat realizarea unui pasaj suprateran la ieșirea din localitatea Oșorhei spre Cluj. Noul pasaj va fi construit peste girația existentă, la intersecția cu drumul spre localitatea Fughiu, Centura Oșorhei și DN 1.
„Pentru a reduce numărul de accidente în această zonă, pentru a asigura fluența circulației, am gândit un pasaj suprateran care urmează să fie executat din primăvara anului viitor, peste sensul giratoriu, de-a lungul drumul național DN1. Actuala girație rămâne, pentru a permite virajele în celelalte direcții, iar pentru fluidizarea circulației de pe Centura Oșorhei va fi o bretea rutieră cu viraj dreapta care va evita girația și pasajul, înspre Cluj”, a explicat președintele Consiliului Județean Bihor.
Valoarea totală estimată a obiectivului de investiții „Amenajare intersecție denivelată aferentă DJ767J (cu posibilitate de modificare în DN1) în localitatea Oșorhei, județul Bihor” este de 8.015.780,96 euro, fără TVA. În studiul de fezabilitate sunt prevăzute 3 luni pentru proiectare, o lună pentru obținerea autorizației de construire și 8 luni pentru execuția lucrărilor.
Conform studiului de fezabilitate, pasajul va avea o lungime totală de 402 metri și o lățime de 10 metri, cu două benzi de circulație.
„Noi ne propunem să organizăm procedura de licitație în luna august, anul acesta, să semnăm spre finalul anului un contract de proiectare și execuție, iar din primăvara anului viitor să începem lucrările”, a adăugat Ilie Bolojan.
Proiectele de infrastructură derulate de Consiliul Județean Bihor care asigură conectivitatea rutieră cu Municipiul Oradea și zona metropolitană vor duce la o fluență mai bună a circulației și vor scurta timpii de deplasare în cea mai aglomerată zonă a județului Bihor, pe DN1.



Comentarii
Nu există nici un comentariu.